
Angola was founded in June of 1838 by Thomas Gale and Cornelius Gilmore and is the home to Trine University.
The population was 8,612 at the 2010 census.
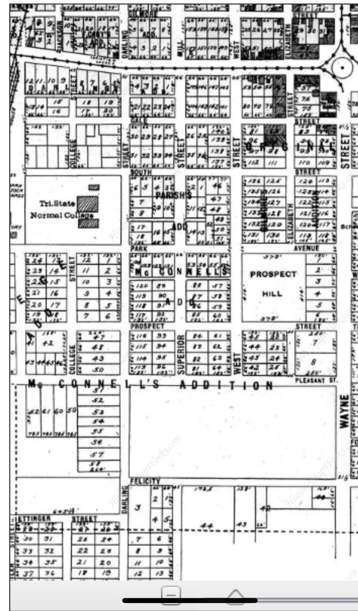
The Plat Map from 1912 includes the streets Gale, South, Park, Prospect, and Pleasant running east and west. It also includes College, Darling, Superior, West, and Elizabeth running north and south. Part of our community includes Prospect Hill which was a neighborhood developed in the late 1800s and early 1900s. Additions were develed within the area including, Gilmore's Add, Parish's Add, McConnell's Add, Darling's Add, and College Add.

Community members are always encouraged to donate canned, boxed, toiletry items. We support the following Blessing Boxes and Food Pantries:
Angola United Methodist Church
220 West Maumee Street
Angola, Indiana 46703
260-665-3914
Holy Family Episcopal Church
909 South Darling Street
Angola, Indiana 46703
260-665-5067
St. Anthony of Padua Catholic Church
700 West Maumee Street
Angola, Indiana 46703
260-665-2259

Community members are always encouraged to support and utilize the book boxes available in our community:
Dragonfly Dream Library
210 North Martha Street
Angola, Indiana 46703
Angola United Church of Christ
314 West Maumee Street
Angola, Indiana 46703
Home of Lou Ann Homan
504 South West Street
Angola, Indiana 46703
We use cookies to analyze website traffic and optimize your website experience. By accepting our use of cookies, your data will be aggregated with all other user data.